南翔生活网
  • 嘉定新闻
  • 精彩活动
  • 技术案例
  • 祥友汇
    • 儿童之家
    • 妇女之家
    • 志愿服务队
  • 党群微网站
  • 社区信息
  • 政策解读
嘉定生活门户网站,嘉定网络的商业平台
服务热线:021-69982177

南翔新闻

查看全部

终于来了!嘉定南翔这所25个班级学校开建!(附现场实拍+超赞效果图)

10-22
19251
导读
- 2021年的第292天 - 嘉定明日天气:多云 20℃/14℃ @嘉定宝爸宝妈,好消息!嘉定又将新建一所学校啦!近日,嘉定区南翔镇宝翔路学校新建工程动工,预…

– 2021年的第292天 –

嘉定明日天气:多云 20℃/14℃

@嘉定宝爸宝妈,好消息!
嘉定又将新建一所学校啦!
近日,嘉定区南翔镇宝翔路学校
新建工程动工,
预计2023年6月竣工。
 

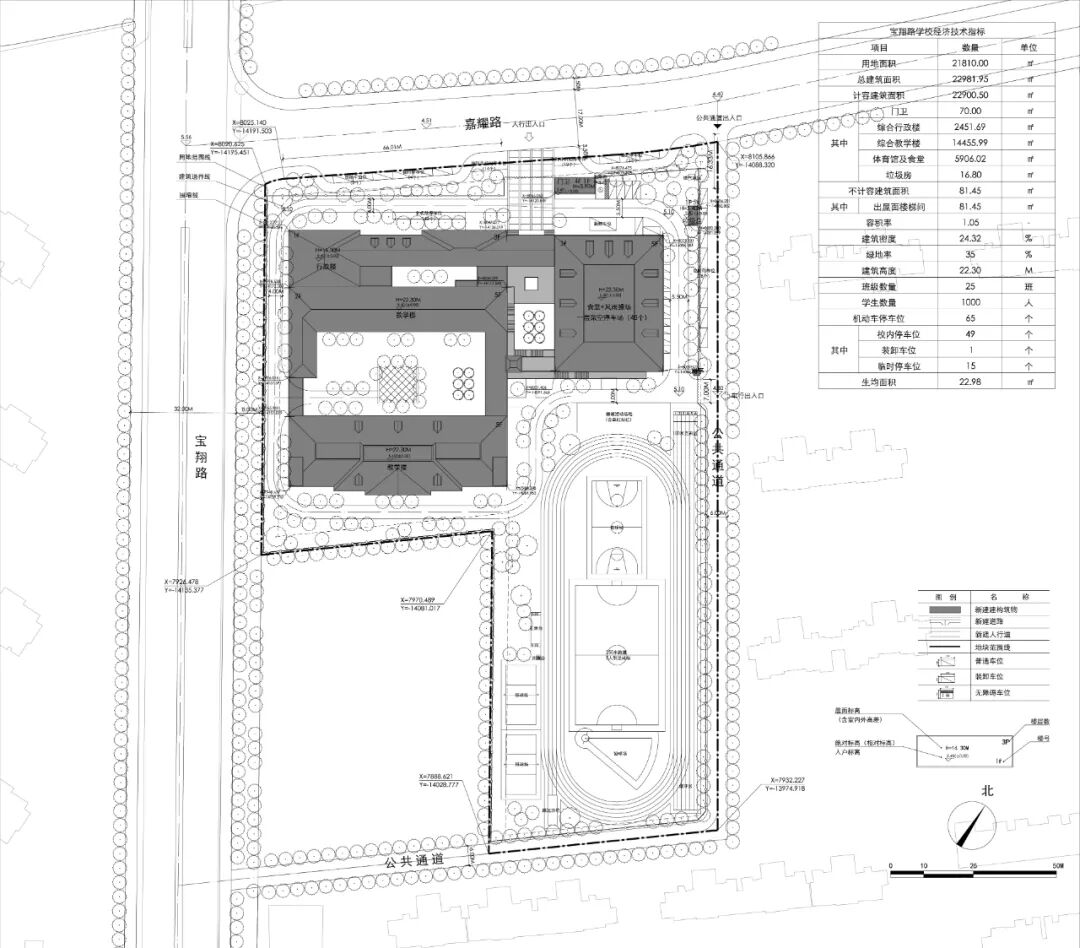
宝翔路学校新建工程位于南翔东社区。

学校东至基地边界,南至基地边界,

西至宝翔路,北至嘉耀路, 
总建筑面积22981.1平方米。
总平面图

位置图

学校周边水系丰富、环境优美,附近多为住宅区,建成后可容纳25个班级1000人就读。

设计图

建筑风格上,既有清新亮丽的现代建筑,也有造型雄伟的新古典主义法式风格建筑。

校园绿化方面,将种植薰衣草与松树,布局上突出轴线的对称,整体色彩以绿色、蓝色和紫色为主,为师生打造自然舒适的环境。

效果图

▲南翔生活网现场实拍
 
来源 | 上海嘉定
图片拍摄 | 南翔生活网
 
 
免责声明:本平台对转载、分享的内容、陈述、观点判断保持中立,仅供读者参考。本平台推送的广告信息、内容及设计均归广告主所有,本平台只作为发布方进行推送,因内容引起的任何纠纷与本平台无关,本公众平台将不承担任何责任。

                   

               

更多南翔精彩资讯,关注南翔生活网网官方微信

要闻快讯

查看全部
25号截止!这个帮扶项目征集抓紧申报!
【聚变计划】参与式工作坊开放报名
项目发布|2023年北京市妇联公益伙伴计划暨妇女儿童家庭公益服务创新项目征集启事
汪明亮:电子监控的犯罪预防功能
最美退役军人网络投票活动
古猗园荷花睡莲展荷花九景评选活动
嘉定区青少年法律知识新媒体竞答比赛
澳洲klook0元游澳洲
Student.com学旅家WorldCup世界杯

嘉定生活门户网站,嘉定网络的商业平台
服务热线:13916893730
技术支持:安拓网络Anttoweb
网站备案:沪ICP备13042283号-1
  • 网站介绍
  • 打折卡销售点
  • 服务条款
  • 招聘信息
  • 免责声明
  • 联系我们
  • 南翔派出所网上工作站
  • 模特衣架公司
  • 控件中国网
  • 闵行社区论坛
  • 嘉定都市网
  • 绍兴租房
  • 宝山网
  • 九亭论坛
  • 花桥生活网
  • 奉贤房产网
  • 上海团购大全
  • 申城热线
  • 上海鲜花
  • 南翔网
  • 南翔人论坛
  • 安亭热线
  • 新桥论坛
  • 上海列表网
  • 上海租房
  • 360免费杀毒
  • 上海房屋维修
  • 360网站导航
  • 南翔智地
  • 放心搜
  • 上海业主论
  • 安拓网络Anttoweb
  • 坛祥生活商
  • 城维沃珂网销联合办公