南翔生活网
  • 嘉定新闻
  • 精彩活动
  • 技术案例
  • 祥友汇
    • 儿童之家
    • 妇女之家
    • 志愿服务队
  • 党群微网站
  • 社区信息
  • 政策解读
嘉定生活门户网站,嘉定网络的商业平台
服务热线:021-69982177

南翔新闻

查看全部

【重磅快讯】嘉定这条重要高速即将拓宽!南翔将新增匝道和立交!专项规划出炉!

12-03
27098
导读
- 2021年的第334天 -嘉定明日天气:晴 16℃/4℃前序:今年十月,嘉定交通委员会陆主任曾在直播中透露:为了缓解宝安公路和曹安公路的交通压力,G15沈海…

– 2021年的第334天 –
嘉定明日天气:晴 16℃/4℃
前序:今年十月,嘉定交通委员会陆主任曾在直播中透露:为了缓解宝安公路和曹安公路的交通压力,G15沈海高速将在金昌西路新建上下匝道、立交,而近日,沈海高速(G15)嘉金段改建工程专项规划终于正式开始公示!
南翔生活网根据嘉定2035年总规图标注示意
对嘉定市民而言,最大亮点是G15将由6车道增至8车道!同时,G15将在金昌西路设置匝道、立交,其方案首次亮相!
南翔生活网根据南翔2035年总规图标注示意

沈海高速(G15)嘉金段改建工程

专项规划(公示文件)

 

规划背景

沈海高速是国家南北方向高速主干线之一。沈海高速嘉金段途经嘉定新城、虹桥商务区、松江新城和金山滨海地区等。为加快虹桥国际开放枢纽建设和本市“新城发力、南北转型”市域新格局构建、推进交通运输部要求开展的国家高速公路并线段和交通瓶颈段改造工作,根据《2021年度交通基础设施专项规划编制计划》开展本次规划。

规划范围

北至上海绕城高速(G1503)北段,南至申嘉湖高速(S32),长约44公里。

技术标准

沈海高速:道路等级为高速公路,设计车速为100公里/小时,双向8条机动车道。
沿线辅道:道路等级为二级公路,设计车速为60公里/小时,双向4-6条机动车道。

规划方案

沈海高速(G1503-S32)改建工程拟由现状主线双向6车道改建为双向8车道。
沈海高速(G1503-S32)改建工程拟采用高架和路堤两种建设型式,其中北青公路以北至沪松公路段、沪昆高速至泖亭路段采用高架建设型式。
沈海高速(G1503-S32)沿线规划设置3处组合立交(沪翔髙速、沪松公路、沪昆高速),其中沪翔高速立交和沪昆高速立交为现状保留沈海高速(G1503-S32)沿线规划保留6处枢纽立交(上海绕城高速、京沪高速、沪常高速、崧泽高架路、沪渝高速、申嘉湖高速)。
沈海高速(G1503-S32)沿线规划设置7处一般立交(金昌西路、曹安公路、北青公路、沪青平公路、莘砖公路、松闵路、泖亭路),其中金昌西路立交、松闵路立交为规划新增。
规划在纪鹤路至沪松公路段、九新公路至北松公路段设置辅道,长约18.5公里,双向4-6车道。
规划拟在金昌西路、沪松公路、松闵路等处新增4处收费站管理用房。
 

规划调整

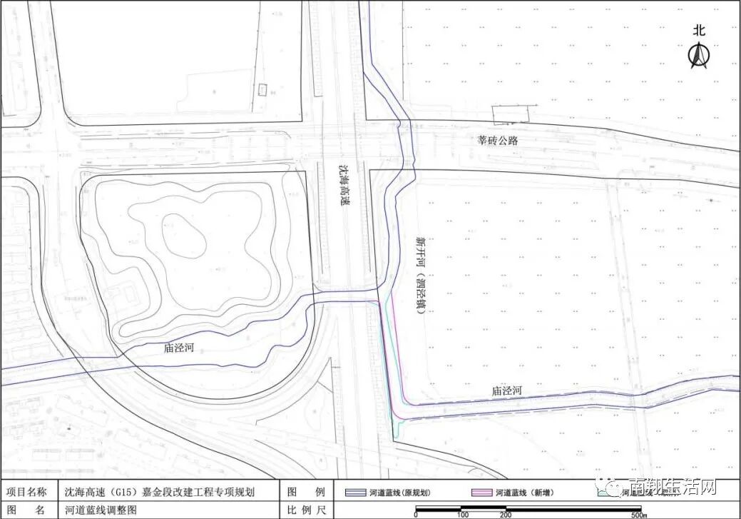
沈海高速(路段)规划红线60-110米,结合本次工程实施方案,拟调整多处道路红线、1处河道蓝线、1处电力黄线以及相关详细规划。
金昌西路立交段

编辑 | 海潮

来源 | 上海城投

免责声明:本平台对转载、分享的内容、陈述、观点判断保持中立,仅供读者参考。本平台推送的广告信息、内容及设计均归广告主所有,本平台只作为发布方进行推送,因内容引起的任何纠纷与本平台无关,本公众平台将不承担任何责任。

                   
               

更多南翔精彩资讯,关注南翔生活网网官方微信

要闻快讯

查看全部
25号截止!这个帮扶项目征集抓紧申报!
【聚变计划】参与式工作坊开放报名
项目发布|2023年北京市妇联公益伙伴计划暨妇女儿童家庭公益服务创新项目征集启事
汪明亮:电子监控的犯罪预防功能
最美退役军人网络投票活动
古猗园荷花睡莲展荷花九景评选活动
嘉定区青少年法律知识新媒体竞答比赛
澳洲klook0元游澳洲
Student.com学旅家WorldCup世界杯

嘉定生活门户网站,嘉定网络的商业平台
服务热线:13916893730
技术支持:安拓网络Anttoweb
网站备案:沪ICP备13042283号-1
  • 网站介绍
  • 打折卡销售点
  • 服务条款
  • 招聘信息
  • 免责声明
  • 联系我们
  • 南翔派出所网上工作站
  • 模特衣架公司
  • 控件中国网
  • 闵行社区论坛
  • 嘉定都市网
  • 绍兴租房
  • 宝山网
  • 九亭论坛
  • 花桥生活网
  • 奉贤房产网
  • 上海团购大全
  • 申城热线
  • 上海鲜花
  • 南翔网
  • 南翔人论坛
  • 安亭热线
  • 新桥论坛
  • 上海列表网
  • 上海租房
  • 360免费杀毒
  • 上海房屋维修
  • 360网站导航
  • 南翔智地
  • 放心搜
  • 上海业主论
  • 安拓网络Anttoweb
  • 坛祥生活商
  • 城维沃珂网销联合办公