南翔生活网
  • 嘉定新闻
  • 精彩活动
  • 技术案例
  • 祥友汇
    • 儿童之家
    • 妇女之家
    • 志愿服务队
  • 党群微网站
  • 社区信息
  • 政策解读
嘉定生活门户网站,嘉定网络的商业平台
服务热线:021-69982177

南翔新闻

查看全部

【快讯】南翔这里即将新建道路、桥梁!

04-15
5254
导读
- 2020年的第104天 - 嘉定明日天气:晴转阴23℃/13℃ 嘉定这里又有一条道路与桥梁要新建 快来跟小编看看最新规划 是不是你家附近呢? ↓ 建设单位 …

– 2020年的第104天 –

嘉定明日天气:晴转阴23℃/13℃

嘉定这里又有一条道路与桥梁要新建

快来跟小编看看最新规划

是不是你家附近呢?

↓

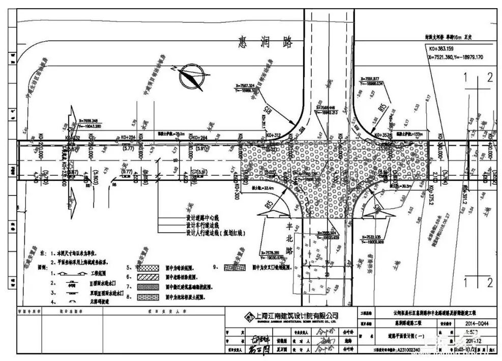
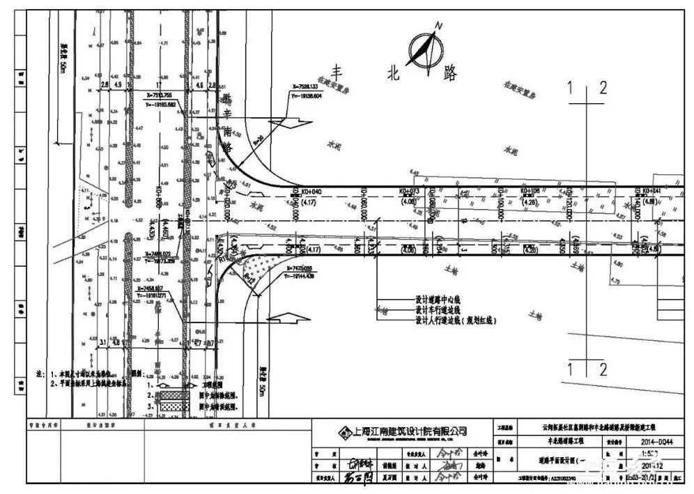
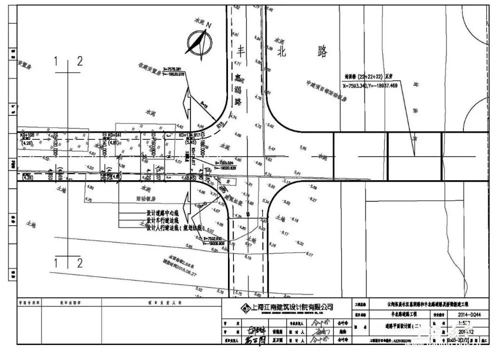
建设单位

上海嘉定轨道交通建设投资有限公司

建设项目名称

云翔拓展社区

乐惠路和嘉吉路

(原名惠润路和丰北路)

道路及桥梁新建工程

建设位置

嘉定区南翔镇,

东至道路红线,南至嘉美路,

西至胜辛南路,北至西河头。

建设规模

乐惠路长340米,宽16米;

嘉吉路长170米,宽20米。

来源 | 嘉定规划与自然资源局

关注南翔生活网视频号

不一样的惊喜在等你

 往 期 精 选  

▲重磅利好!嘉定再添高铁站,今年启用!

▲这一刻,嘉定警报长鸣,全城肃穆,瞬间泪涌…

▲就在嘉定!上海外环外最美中产社区

▲嘉定、武汉 泪目…..

▲兵发朱桥!南翔生活网130位志愿者完成集结!首批上阵!

▲历史性重大规划!嘉定总体规划(2017-2035年)公示!

更多热点资讯……

更多南翔精彩资讯,关注南翔生活网网官方微信

要闻快讯

查看全部
25号截止!这个帮扶项目征集抓紧申报!
【聚变计划】参与式工作坊开放报名
项目发布|2023年北京市妇联公益伙伴计划暨妇女儿童家庭公益服务创新项目征集启事
汪明亮:电子监控的犯罪预防功能
最美退役军人网络投票活动
古猗园荷花睡莲展荷花九景评选活动
嘉定区青少年法律知识新媒体竞答比赛
澳洲klook0元游澳洲
Student.com学旅家WorldCup世界杯

嘉定生活门户网站,嘉定网络的商业平台
服务热线:13916893730
技术支持:安拓网络Anttoweb
网站备案:沪ICP备13042283号-1
  • 网站介绍
  • 打折卡销售点
  • 服务条款
  • 招聘信息
  • 免责声明
  • 联系我们
  • 南翔派出所网上工作站
  • 模特衣架公司
  • 控件中国网
  • 闵行社区论坛
  • 嘉定都市网
  • 绍兴租房
  • 宝山网
  • 九亭论坛
  • 花桥生活网
  • 奉贤房产网
  • 上海团购大全
  • 申城热线
  • 上海鲜花
  • 南翔网
  • 南翔人论坛
  • 安亭热线
  • 新桥论坛
  • 上海列表网
  • 上海租房
  • 360免费杀毒
  • 上海房屋维修
  • 360网站导航
  • 南翔智地
  • 放心搜
  • 上海业主论
  • 安拓网络Anttoweb
  • 坛祥生活商
  • 城维沃珂网销联合办公