南翔生活网
  • 嘉定新闻
  • 精彩活动
  • 技术案例
  • 祥友汇
    • 儿童之家
    • 妇女之家
    • 志愿服务队
  • 党群微网站
  • 社区信息
  • 政策解读
嘉定生活门户网站,嘉定网络的商业平台
服务热线:021-69982177

南翔新闻

查看全部

【快讯】两所学校同日获批!嘉定这里再迎利好!

12-24
6275
导读
- 2021年的第355天 -嘉定明日天气:晴  4℃/-1℃南翔生活网小编从嘉定规资局获悉位于嘉定南翔的一所幼儿园和一所中学在昨日同日获建工规许可 这两所学校…
– 2021年的第355天 –
嘉定明日天气:晴  4℃/-1℃
南翔生活网小编
从嘉定规资局获悉
位于嘉定南翔的
一所幼儿园和一所中学
在昨日
同日获建工规许可
 
这两所学校新建工程分别是位于
南翔云翔拓展区的
07A-01A地块幼儿园
以及位于银翔商务区的
德园路中学
 
 

07A-01A幼儿园新建工程

建设位置

嘉定区南翔镇
东至基地边界、南至嘉好路
西至惠裕路、北至基地边界

总建筑面积

11609.98平方米
地上建筑面积9405.44平方米
地下建筑面积2204.54平方米

计容建面

9312.43平方米
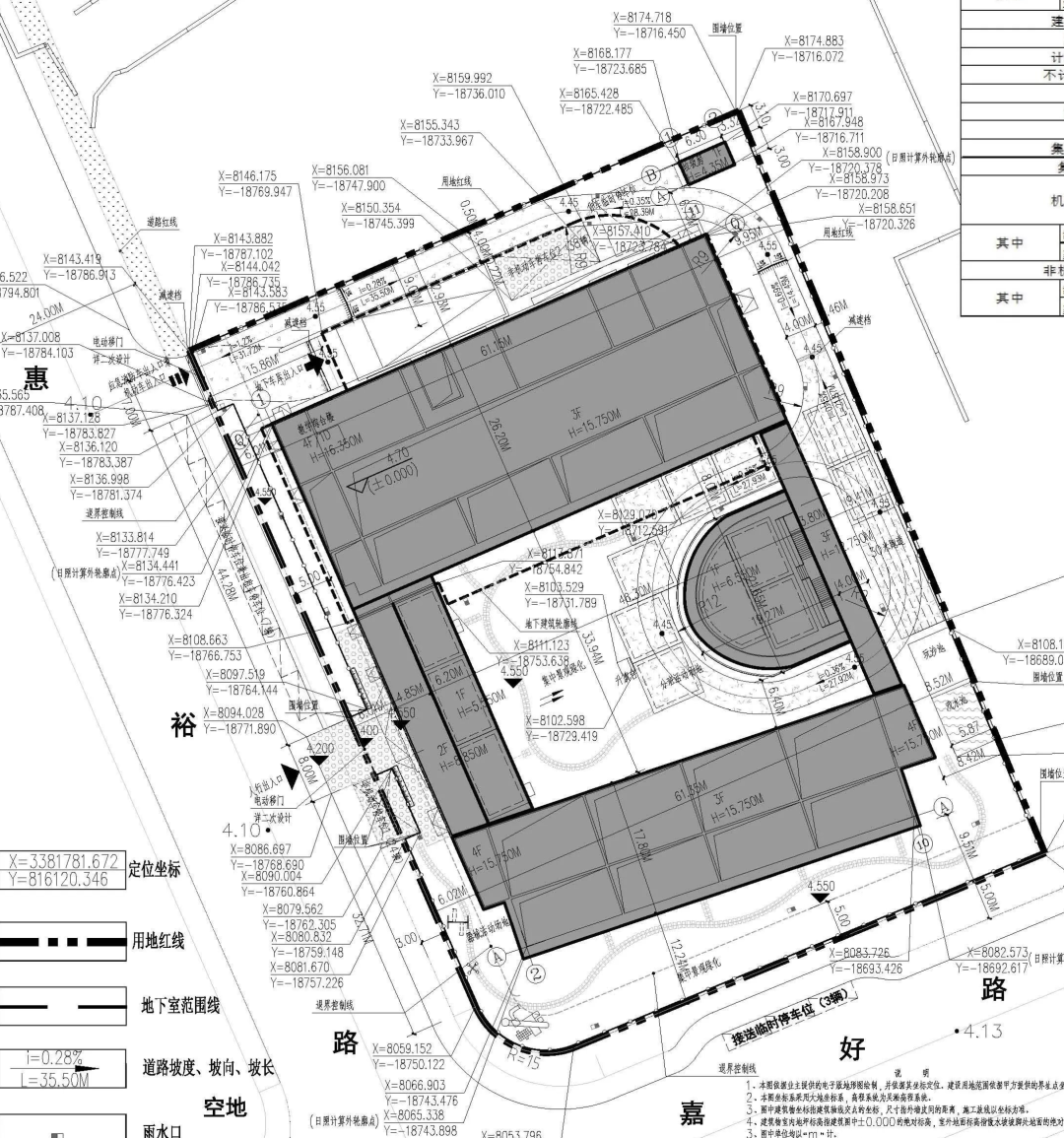
规划资料图
 
根据前期招标资料和经济指标,该项目拟新建一所22班幼儿园,拟建综合楼、垃圾房及室外总体等附属工程。预计施工工期为485日历天。

德园路中学新建工程

 

建设位置

德园路中学新建工程位于
南翔银南翔板块
东至德园南路,南至基地边界
西至横沥河,北至翔二河

总建筑面积

35472.02平方米
(地下建筑面积5900平方米)

计容建面

29572.02平方米
根据前期招标资料和经济指标,该项目将新建一所32班学校,预计施工工期为536日历天。
 
技术经济指标
项目平面图,前期资料
编辑 | 海潮
来源 | 嘉定规资局
免责声明:本平台对转载、分享的内容、陈述、观点判断保持中立,仅供读者参考。本平台推送的广告信息、内容及设计均归广告主所有,本平台只作为发布方进行推送,因内容引起的任何纠纷与本平台无关,本公众平台将不承担任何责任。
                   
               

更多南翔精彩资讯,关注南翔生活网网官方微信

要闻快讯

查看全部
25号截止!这个帮扶项目征集抓紧申报!
【聚变计划】参与式工作坊开放报名
项目发布|2023年北京市妇联公益伙伴计划暨妇女儿童家庭公益服务创新项目征集启事
汪明亮:电子监控的犯罪预防功能
最美退役军人网络投票活动
古猗园荷花睡莲展荷花九景评选活动
嘉定区青少年法律知识新媒体竞答比赛
澳洲klook0元游澳洲
Student.com学旅家WorldCup世界杯

嘉定生活门户网站,嘉定网络的商业平台
服务热线:13916893730
技术支持:安拓网络Anttoweb
网站备案:沪ICP备13042283号-1
  • 网站介绍
  • 打折卡销售点
  • 服务条款
  • 招聘信息
  • 免责声明
  • 联系我们
  • 南翔派出所网上工作站
  • 模特衣架公司
  • 控件中国网
  • 闵行社区论坛
  • 嘉定都市网
  • 绍兴租房
  • 宝山网
  • 九亭论坛
  • 花桥生活网
  • 奉贤房产网
  • 上海团购大全
  • 申城热线
  • 上海鲜花
  • 南翔网
  • 南翔人论坛
  • 安亭热线
  • 新桥论坛
  • 上海列表网
  • 上海租房
  • 360免费杀毒
  • 上海房屋维修
  • 360网站导航
  • 南翔智地
  • 放心搜
  • 上海业主论
  • 安拓网络Anttoweb
  • 坛祥生活商
  • 城维沃珂网销联合办公