南翔生活网
  • 嘉定新闻
  • 精彩活动
  • 技术案例
  • 祥友汇
    • 儿童之家
    • 妇女之家
    • 志愿服务队
  • 党群微网站
  • 社区信息
  • 政策解读
嘉定生活门户网站,嘉定网络的商业平台
服务热线:021-69982177

南翔新闻

查看全部

【独家】南翔首家奥迪4S店!最新进展来了!

01-15
22143
导读
 - 2021年的第14天 -嘉定明日天气:晴 17℃/3℃  去年7月,南翔生活网应网友要求给大家实地探访了或将成为南翔镇核心区域第一家汽车4S店的施工情况。…

 – 2021年的第14天 –
嘉定明日天气:晴 17℃/3℃
 

去年7月,南翔生活网应网友要求给大家实地探访了或将成为南翔镇核心区域第一家汽车4S店的施工情况。后台网友们一直都很关注最新进展!今天,小编再次出发,带大家一起看看这个项目的最新情况~

一起来看看

实地探访

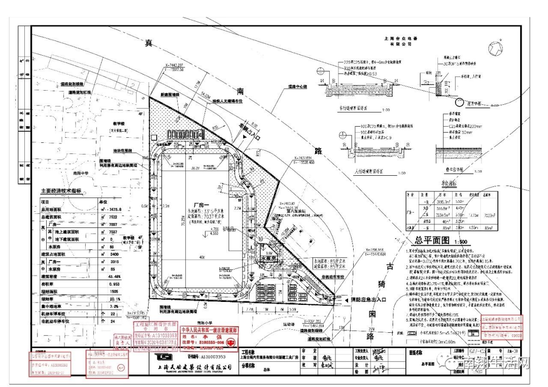
该项目建设地址位于上海市嘉定区南翔镇,东至古猗园路,西至基地边界,南至基地边界,北至真南路。
可以看出外部已初步完工,
外观看起来还是比较现代化的~
 
▲小编将大致区域范围标出来,供大家参考
 
从施工铭牌上看到,建设单位是上海古猗汽车服务有限公司,总包单位是上海中骥建设工程有限公司,建筑面积7122平方米。
 
目前该项目建筑外部装修已基本完成。工人们正在紧锣密鼓的施工中~对比去年7月份的照片,该建筑外观的基本雏形已经显现~
 
▲2020年7月南翔生活网拍摄
 
目前场地还未进行铺设
 

现代化建筑风格

小编找出了这家4S店的效果图,目前施工效果和效果图已经非常相似,从效果图上看这家4S店风格比较现代化,颜值也不甘示弱,相信建成后一定不会让大家失望~
▲效果图

总平面设计图

前期嘉定规资局发布的总平面设计图和经济技术指标,供大家参考!

该项目建筑面积7122平方米
绿地面积1505平方米
绿地绿20.1%

会是奥迪4S店吗

为了给大家拍个全景,小编去了附近高层楼宇拍了照片,该地块位于印象城对面,根据我们此前的信息获悉这里未来将建成奥迪4S店,这家4S店建成后或将成为南翔核心区首家奥迪汽车4S店,小编和大家一样期待~
这家4S店的庐山真面目正在一点点揭开,相信后不久我们就能知晓它到底是不是奥迪4S店啦~
 
欢迎留言区参与互动
一起猜想这家4S店未来将会是哪个品牌入驻~
 
 
编辑 | 晓舟
拍摄 | 晓舟
部分资料来源于嘉定规资局
 
 
免责声明:本平台对转载、分享的内容、陈述、观点判断保持中立,仅供读者参考。本平台推送的广告信息、内容及设计均归广告主所有,本平台只作为发布方进行推送,因内容引起的任何纠纷与本平台无关,本公众平台将不承担任何责任。

更多南翔精彩资讯,关注南翔生活网网官方微信

要闻快讯

查看全部
25号截止!这个帮扶项目征集抓紧申报!
【聚变计划】参与式工作坊开放报名
项目发布|2023年北京市妇联公益伙伴计划暨妇女儿童家庭公益服务创新项目征集启事
汪明亮:电子监控的犯罪预防功能
最美退役军人网络投票活动
古猗园荷花睡莲展荷花九景评选活动
嘉定区青少年法律知识新媒体竞答比赛
澳洲klook0元游澳洲
Student.com学旅家WorldCup世界杯

嘉定生活门户网站,嘉定网络的商业平台
服务热线:13916893730
技术支持:安拓网络Anttoweb
网站备案:沪ICP备13042283号-1
  • 网站介绍
  • 打折卡销售点
  • 服务条款
  • 招聘信息
  • 免责声明
  • 联系我们
  • 南翔派出所网上工作站
  • 模特衣架公司
  • 控件中国网
  • 闵行社区论坛
  • 嘉定都市网
  • 绍兴租房
  • 宝山网
  • 九亭论坛
  • 花桥生活网
  • 奉贤房产网
  • 上海团购大全
  • 申城热线
  • 上海鲜花
  • 南翔网
  • 南翔人论坛
  • 安亭热线
  • 新桥论坛
  • 上海列表网
  • 上海租房
  • 360免费杀毒
  • 上海房屋维修
  • 360网站导航
  • 南翔智地
  • 放心搜
  • 上海业主论
  • 安拓网络Anttoweb
  • 坛祥生活商
  • 城维沃珂网销联合办公